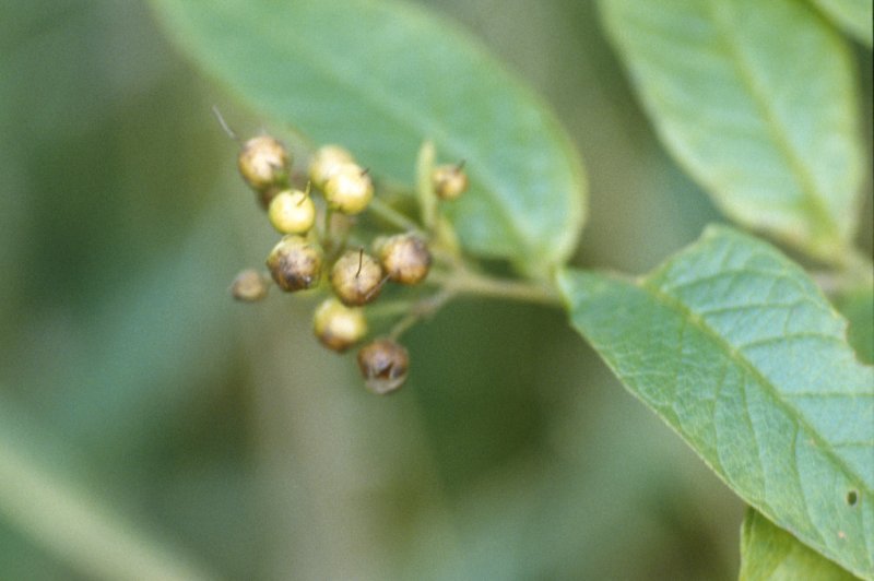
Lysimachia vulgaris   -   Gemeiner Gilbweiderich

Primulaceae


20.10.2002 Wiesen und Hecken bei Nauen